Latest Apple News and Resources

Wisconsin Fruit Crop Scouting Report: September 24, 2025
Thank you for following along this season! This will be the final report for the 2025 growing season.At the West Madison research station, weather over […]

Wisconsin Fruit Crop Scouting Report: September 10, 2025
Hello fruit growers, we are excited to share apple and grape scouting updates with you this year through the Wisconsin Fruit Newsletter. Weather has continued […]

Wisconsin Fruit Crop Scouting Report: August 27, 2025
Hello fruit growers, we are excited to share apple and grape scouting updates with you this year through the Wisconsin Fruit Newsletter. Weather has cooled […]

Wisconsin Fruit Crop Scouting Report: August 13, 2025
Hello fruit growers, we are excited to share apple and grape scouting updates with you this year through the Wisconsin Fruit Newsletter. Rain continues to […]

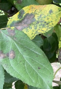
Apple Blotch Disease Update for Wisconsin Growers
As harvest operations ramp up, fungicide applications often drop off, leaving orchards unprotected. Late‑season rains wash off residual fungicide, providing ideal conditions for apple blotch […]

Summer Pruning Apples: A Smart Strategy for Better Fruit and Easier Harvest
As the season moves into midsummer and early apple varieties start to size up, many growers consider summer pruning as a valuable tool, not just […]

Wisconsin Orchard Update: Bitter Rot and SBFS Management Reminders
As Wisconsin apple growers head into August and begin preparing for harvest, two persistent fruit diseases may begin to be observed: bitter rot and the […]

Wisconsin Fruit Crop Scouting Report: July 28, 2025
Hello fruit growers, we are excited to share apple and grape scouting updates with you this year through the Wisconsin Fruit Newsletter. Rain continues to […]

Wisconsin Fruit Crop Scouting Report: July 16, 2025
Hello fruit growers, we are excited to share apple and grape scouting updates with you this year through the Wisconsin Fruit Newsletter. Rain continues to […]

Wisconsin Orchard Update: Stay Ahead of Bitter Rot
As we head into July, Wisconsin apple growers should be on high alert for bitter rot, a disease that continues to increase in prevalence—even in […]