Pre-Bloom to Post-Bloom Grape Disease Management in Wisconsin
Wisconsin vineyards are now in or approaching one of the most critical disease prevention periods of the entire season, pre-bloom through post-bloom, which spans 2 weeks before bloom to 3-4 weeks after bloom. This period is critical for protection and prevention of fungal infections in the vineyard. The most vulnerable plant tissues during this period are foliage, flowers, and developing fruits. Fungicides should be utilized during this period to protect susceptible tissues from infection against black rot, Phomopsis cane and leaf spot, powdery mildew, downy mildew, and Botrytis gray mold. A robust early season fungicide program will significantly benefit disease control efforts later in the season. Many disease symptoms observed later in the season are a result of early season infections that remain latent until fruits begin to mature, or survival of primary inoculum in the early season leading to the production of secondary inoculum later in the season. This is not the time of the season to skimp on rates or skip applications. Utilize the best tools in your fungicide toolbox during this time… an ounce of prevention is worth a pound of cure!
The pre- through post-bloom period can be divided into three critical periods to target fungicide applications – 1) Immediate pre-bloom/early bloom, 2) bloom, and 3) post-bloom. In some seasons, like last year, weather conditions may push the vines through these stages rather quickly, making it challenging to target each phenological stage. Spray intervals will be between 7-10 days during this period.
Immediate pre-bloom to early bloom

During this period vines are around E-L stages 17-19, where inflorescences have developed, and flowering begins. Fungicide applications should start when shoots are 10-12 inches long and should target black rot and Phomopsis. If you are growing a variety highly susceptible to black rot and/or have a history of black rot in your vineyard a fungicide application before bloom can be beneficial. Phomopsis infections can occur on the rachis (fruit stems) at this time of the season and can spread to fruit if not managed with fungicides. Continued protection is needed for powdery mildew during this time, especially as fruits are highly susceptible to infection following bloom. This is especially true in vineyards where susceptible varieties are grown (ex. Brianna, Frontenac, Frontenac gris, and Marquette) and where powdery mildew was a problem in the previous season as this contributes to a high inoculum load. Downy mildew control should also continue during this period.
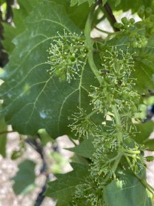
Bloom

The bloom period extends from flowering to 80% of caps fallen off and aligns with E-L* stages 19-25. Fungicide applications should continue to target black rot and Phomopsis infections. If you have not applied any fungicide chemistries that target black rot by this point, they must be included in your bloom spray. Fruit and foliage can remain susceptible to black rot for 6-7 weeks after bloom. Downy mildew infections commonly occur during the bloom period, and this is especially true during rain events. Include protectant fungicides for downy mildew protection during this period. Bloom is also the point in the season when powdery mildew secondary infections begin – this is a critical time for controlling powdery mildew cluster infections. No chances should be taken, especially for highly susceptible cold-climate varieties.
Post-bloom

Post-bloom begins when caps fall off completely and berries begin to set (E-L* stages 25-27). The post-bloom protection period may extend into 3 or 4 weeks after flowering ends due to conducive conditions for fungal infection. The number of post-bloom sprays will depend on disease pressure, and an additional application may be warranted before bunch closure in highly susceptible varieties and when disease pressure is high. Applications will continue to target black rot, Phomopsis, downy mildew, and powdery mildew. Phomopsis spore dispersal events primarily occur between bud break and bloom, and infection risk is low when berries are pea sized. Fungicide applications from this point forward are often deemed unnecessary for Phomopsis control but monitor the NEWA Grape Diseases Model for predictions in your area. Secondary powdery mildew infections can persist during this period and foliage and fruit remain susceptible to infection. While berries eventually become resistant to powdery mildew infection (6-8 weeks post-bloom) the foliage remains susceptible for the rest of the season. Management of powdery mildew this season will also aid in reducing overwintering inoculum. Black rot is often well managed following post-bloom fungicide applications. To evaluate if additional black rot control is needed scout vineyards for foliar and fruit symptoms, and check NEWA to see if infection events have been logged.
Considerations for managing grape diseases this season:
- The amount of overwintering fungal inoculum that escaped your dormant sanitation program can contribute to infections this spring and summer.
- Scout for infections in the vineyard. Rachis infections (ex. Phomopsis and powdery mildew) typically show up early and can lead to fruit infections later in the season.
- The cold-climate grape cultivars grown in Wisconsin display varying degrees of susceptibility to some fungal diseases.
- When applying single-site fungicides such as those in FRAC groups 3, 7, 9, 11, etc. that are classified as medium- to high-risk for fungicide resistance development remember to avoid back-to-back applications of the same FRAC groups, rotate to a different mode of action, tank mix fungicides from different FRAC groups to reduce reliance on a single mode of action, and limit applications of these single-site chemistries to no more than 2 applications per season.
- There have been several reports in Wisconsin of powdery mildew fungicide resistance to FRAC 11 (i.e., QoI/strobilurins).
- Phytotoxicity:
- If choosing to manage diseases with copper or sulfur, be aware of various cold-climate varieties sensitivity to these chemistries. Varieties that displayed moderate to high copper sensitivity included Leon Millet, Marechal Foch and Brianna; Varieties that displayed high sulfur sensitivity included Leon Millet, Marechal Foch and Brianna (McManus et al. 2017).
- Pristine causes foliar injury to Concord grape varieties.
- Revus Top can cause phytotoxicity on Vitis labrusca, V. labrusca hybrids and other non-vinifera hybrid grapes.
- NEWA Grape Disease Models – Provides predictions on grape disease infection events for Phomopsis, Black Rot and Powdery Mildew.
- Powdery mildew infections are most severe under humid (>60% RH) and cloudy conditions, and when warm temperatures persist during the day and night.
- Consult the 2023-2024 Midwest Fruit Pest Management Guide for up-to-date information of fungicide chemistry efficacy information and recommendations.
- *E-L stages = Eichhorn and Lorenz phenological stages for the development of grapevines (1977).