Wine and Table Grape Developmental Stages June 10, 2016
All cultivars at the West Madison Agricultural Research Station (WMARS) have entered bloom and are beginning to reach early fruit-set; development spans from E-L* developmental number 18 (flower caps in place but fading from green) to 21 (30% flower caps off). At the Peninsular Agricultural Research Station (PARS) inflorescence are expanding, but individual flowers have not open yet; development at PARS spans from E-L* developmental number 14 (7 leaves separated, inflorescence clear) to 16 (10 leaves separated, single flowers in compact groups).
- Eichhorn-Lorenz Phenological stages to describe grapevine development
Some caterpillars have been found at both PARS and WMARS, including Grape Plume Moth (see following article for more information) and the Oblique Banded Leaf-roller. However, grape vines are able to recover quickly from these mostly-foliar-feeding insects, so even a large number of caterpillars are unlikely to cause significant yield loss.
The first week of June we started shoot thinning at WMARS, when shoots were 5-7” long, at this time it is really easy to remove the shoots, if we wait for longer it might require more time and labor to shoot thin. The main goal of shoot thinning is to create an open canopy to increase airflow and sunlight exposure, by evenly spacing shoot across the cordons. The general rule of thumb is to leave 4-6 shoots per foot-length of trellis. For more vigorous varieties, like Marquette, its recommended to leave more shoots (5-6 shoots/foot of trellis) to help control some of the vegetative vigor and avoid the formation of “bull” canes. Varieties that are less vigorous, like Foch, it is recommended to keep less shoots (4 shoots/foot of trellis), to encourage those shoots to achieve a final length of 4-5 feet (15 leaves per shoot) that will support good fruit quality.
Following photos taken on June 7th at West Madison Agricultural Research Station.

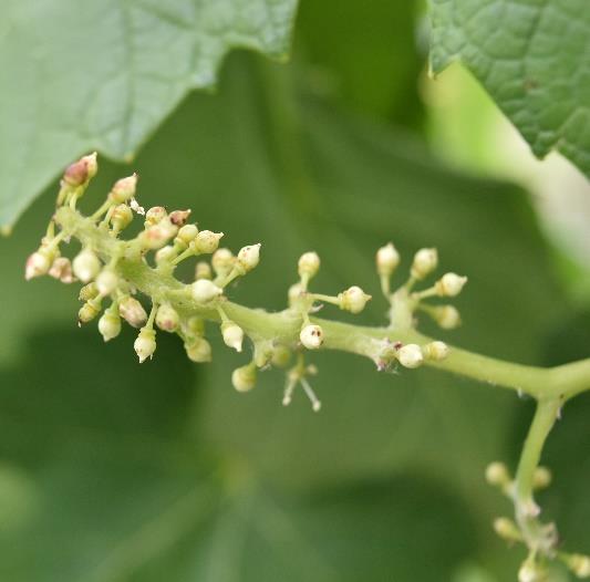
Brianna at WMARS; “flower caps in place but fading from green” E-L number = 18 
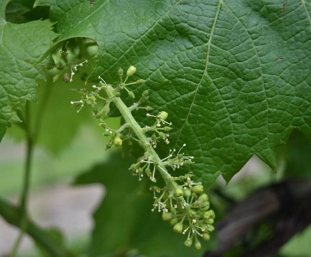
La Crescent at WMARS; “10% flower caps off” E-L number = 20 
La Crosse at WMARS; “10% flower caps off” E-L number = 20 
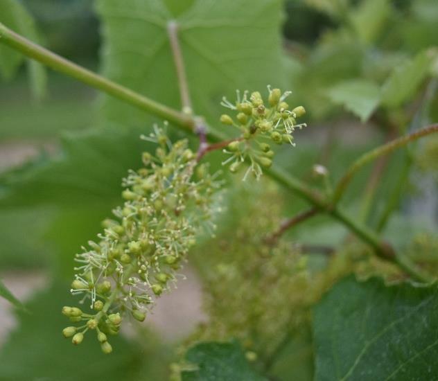
Marquette at WMARS; “30% flower caps off” E-L number = 21 
Frontenac at WMARS; “flower caps in place but fading from green” E-L number = 18 
Frontenac leaf damage at WMARS 
St. Croix at WMARS; “flower caps in place but fading from green” E-L number = 18 
Somerset at WMARS; “30% flower caps off” E-L number = 21 
Brianna at PARS; “7 leaves separated, inflorescence clear” E-L number = 14 
La Crescent at PARS; “10 leaves separated, flowers in compact groups” E-L number = 16 
La Crosse at PARS; “7 leaves separated, inflorescence clear” E-L number = 14 
Marquette at PARS; “10 leaves separated, flowers in compact groups” E-L number = 16 
Frontenac at PARS; “8 leaves separated, flowers in compact groups” E-L number = 15 
St. Croix at PARS; “8 leaves separated, flowers in compact groups” E-L number = 15
The growing degree day accumulations as of June 7th for this year are: 612 GDD at WMARS and 398 GDD at PARS. These are very close to the degree days accumulated this time last year, although at WMARS we are a little bit behind last year’s accumulation. Degree days are calculated using a base of 50°F.

